- Дегрануляции тесты
- — вспомогательные методы специфической аллергологической диагностики
При применении глюкокортикостероидных препаратов прибегать к тестам дегрануляции нецелесообразно. Положительный результат маловероятен при постановке тестов дегрануляции через 1 год и более от момента развития аллергической реакции.
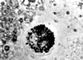
Непрямой базофильный тест основан на изучении морфологических изменений в базофилах кролика (индикатор). Для этого вначале культивируют базофилы с сывороткой крови больного, а затем добавляют аллерген. При наличии специфических к аллергену антител происходит дегрануляция базофилов. Нейтральный красный избирательно окрашивает гранулы базофилов в кирпично-красный цвет, что позволяет дифференцировать их с другими клетками. Результат оценивают под микроскопом с иммерсионной системой. При отрицательной реакции неизмененные базофилы имеют округлую форму, внутри клетки располагаются гранулы кирпично-красного цвета (рис., а). При положительной реакции отмечаются деформация клеток, образование псевдоподий и в редких случаях выход гранул из клетки с разрывом ее (рис., б). Отсчитывают по 100 базофилов в опыте и в контроле, вычисляют процент морфологически измененных клеток. Разность между ними при положительном тесте должна превышать 15%.
Прямой базофильный тест (тест Шелли) основан на изучении морфологических изменений в базофилах крови больного аллергическим заболеванием при взаимодействии со специфическим аллергеном. Результаты оценивают так же, как при непрямом тесте.
Тест деструкции лаброцитов заключается в изучении морфологических изменений в лаброцитах крыс, происходящих в результате взаимодействия с сывороткой крови больного и специфическим аллергеном. Деструкция лаброцитов проявляется их разбуханием, по периферии появляются вакуоли, вследствие чего клетка становится похожей на медовые соты. Тест считают положительным, когда число измененных клеток превышает 10%.
Диагностическое значение имеют лишь положительные результаты тестов дегрануляции . Отрицательные результаты не гарантируют отсутствия аллергических реакций на введение испытываемых препаратов.
См. также Аллергические болезни.
Библиогр.: Польнер А.А. и др. Лабораторные методы специфической аллергологической диагностики, с. 3, 9, М., 1976.

